family CERAMBYCIDAE Latreille, 1802
subfamily LEPTURINAE Latereille, 1802
tribe Lepturini Latreille, 1802
genus Anoplodera Mulsant, 1839
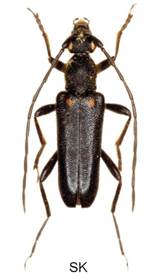
Anoplodera rufipes rufipes (Schaller, 1783)
subgenus Anoplodera Mulsant, 1863

Velikost 7-13 mm.
Bionomie. Listnaté lesy nížinných a středních poloh. Vychoval jsem dvě imága z výřezů kmene stojícího odumřelého neodkorněného dubu o průměru cca 12 – 15 cm napadeného Clytus tropicus a Phymatodes testaceus, rok po prvém výletu těchto tesaříků. Dřevo bylo uvedenými druhy hustě napadeno a výletové otvory A. rufipes s požerky jsem od ostatních druhů a parazitů nemohl odlišit. Předpokládám vývoj spíše v kůře, než ve dřevě, které bylo suché a relativně zdravé. - Imága se vyskytují v V. – VII. na různých květech, zejména Apiaceae, Leucanthemum aj.
Živné rostliny - Quercus.
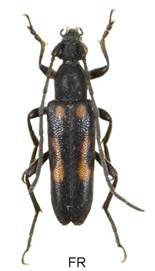
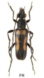
Anoplodera sexguttata (Fabricius, 1775)
subgenus Anoplodera Mulsant, 1863








Velikost 7-12 mm.
Bionomie. Okraje listnatých lesů. Vyvíjí se ve dřevě, které je již v určitém stupni rozkladu. Nejméně dvouletý vývoj. Kuklí se zjara v potravním materiálu. – Imága se vyskytují V.-VII., maximum druhá polovina V. a VI. na různých květech Apiaceae aj.
Živné rostliny – Quercus, Carpinus, Fagus.
Variabilita. Světlé skvrny na krovkách můžou být různě spojeny, nebo redukovány, až jsou krovky jednobarevně černé.